A Berkeley homeowner traded an old garage for a beautiful ADU

Alex, a homeowner in Berkeley, CA, realized that he could do more with his property. He envisioned converting his old garage into an office or an accessory dwelling unit, so he explored the possibilities.

Before

Before

After

After

After some investigation, he realized that he would have to demolish the garage. Most older structures like this one aren’t built to today’s codes and require significant upgrades to address structural changes, seismic reinforcement and the stringent energy code requirements that must be followed to create a comfortable and efficient living space. It often ends up being more cost effective to demolish an older garage and build a new construction ADU.

The owner also found out that his sister and brother-in-law were planning to move to Berkeley. “So I decided to jump in with both feet and build an ADU [accessory dwelling unit],” he said.

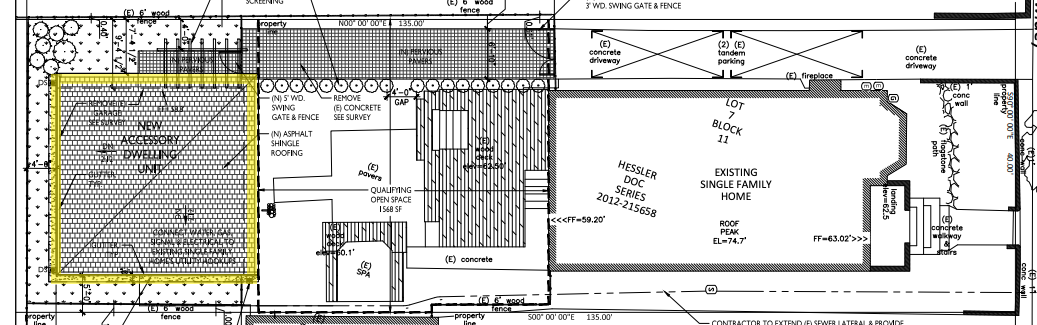
site-plan-Old-Garage-Original-Yard.png

Site plan of existing conditions, garage highlighted in yellow

Site-Plan-with-ADU.png

Site plan showing the new ADU highlighted in yellow

Designing a dream accessory dwelling

Alex met with a New Avenue designer and builder to get started, and he knew he’d made the right choice. “I felt immediate confidence in the project after meeting with them,” Alex said. He was particularly interested in our design-build approach to projects where one team follows it from beginning to end. The final selling point for the New Avenue process is our in-house developed software which makes it easy to track progress, communicate with the team, make payments, and see transparency in pricing. The combination of the great designers, skillful builders, technology, and the design-build approach is what made Alex want to work with New Avenue.

Thoughtful design

Like most of us, Alex was concerned about staying on budget. He knew that construction costs in the Bay Area are always going up, so he would have to keep the budget in check from the beginning. At the same time, he wanted an accessory dwelling that he—and his renters—could be proud of and would become a wonderful place to live.

New Avenue created a custom plan that used cost-effective design and materials without compromising appearance. The exterior design turns the rectangular shape into something unique. The materials complement those of the main home, but still creates a moder aesthetic for the ADU.

Although the building is a square, compact shape, the design is incredibly space-efficient. The layout has a great flow and is a picture of luxury and comfort. Vaulted ceilings and plenty of windows make it feel spacious and provide abundant natural light. The polished concrete floors, which are less expensive than other flooring materials, complement the natural wood trim and stainless steel fixtures and are extremely durable, especially for pets.

The interior includes an open kitchen, dining, and living area. There’s also the option for outdoor dining on the private patio.

To keep the home comfortable and quiet, the washer and dryer are in a small hallway that keeps the sound away from the living and sleeping areas. The bedroom door is around the corner from the kitchen, which means a sleeping resident won’t be awakened by the coffee grinder. The bathroom door is hidden around a corner so it can’t bee seen from the common areas.

Working with the main home

The design works beautifully for Alex’s property. It complements the main home by using similar materials such as plaster and stucco, and exterior trellises provide some sense of privacy and defines the outdoor space. Privacy for both homes was extremely important as the design team and Alex worked through the site plan and schematic design of his ADU project. Alex wanted the people living in the main house and the accessory dwelling to be comfortable sharing the property.

Each home has its own patio, and the spaces are separated with landscaping features to define the backyard space.

Alex’s designer made use of clerestory windows and frosted glass to prevent direct views from the house into the ADU. The windows facing the main home are high and wide, while the windows facing the accessory dwelling’s private yard and patio are much larger and are fully transparent and operable. This gives the renters great light in the evening and provides privacy for both homes. 

A change of plans (and then another)

Alex had initially planned to rent to his sister and brother-in-law, but unfortunately they moved away from Berkeley before the project was complete. Luckily, backyard units like Alex’s are incredibly flexible and in high-demand. An accessory dwelling can take on multiple roles in its multi-generational lifespan.  It can be a home for an adult child or an aging parent. It can be a guest house for family or friends. It can be a private office away from the bustle of the main home. It can even serve as a place for the property owners themselves to live while renting out their larger home. Alex decided to rent his accessory dwelling to a couple of young professionals.

Then came more changes. Alex’s family decided to move to Portland, which meant he had to be away for some of the construction. “It was intimidating to think about getting the ADU built while I was out of state,” he said, noting that his team did “an amazing job at shepherding it through.” Now that Alex’s family is living in Portland, they will rent out both the main home and the accessory dwelling, bringing in even more rental income.

Permitting headaches

Most construction projects meet with delays at the city offices, and this project was no different. Unfortunately, despite vast experience working on projects and permitting, there is no simple way of getting approvals from the local jurisdiction. Always expect some delays, checksheets, and other comments or requests for information from the permit reviewers.

The New Avenue team worked to ensure the design met the city’s requirements. City inspectors questioned the roof height, which did, in fact, meet the letter of the law. There were also questions about drainage, which had previously been approved. New Avenue’s representatives worked with the city to ensure the project could move forward as planned.

The result

Alex is extremely happy with the final result. “I’m blown away at the quality of the design and construction,” he told us. When asked if there was anything he would do differently, he said, “I wish I had started it sooner! The cost of construction is getting prohibitive, but it’s still a great investment.”

Renting out the homes on the property is a wise choice. A home like the main house currently rents for around $4,500 per month in Berkeley, and an accessory dwelling unit like this one could fetch rents of almost $3,000. The mortgage on an accessory dwelling of this size is generally about $1,400 per month, so the new ADU could generate close to $20,000 in income every year. 

With a return on investment like this, and with the low interest rates that are available, it really makes a ton of sense to build ADUs. And this doesn’t even take the increased value of your property into account. ADUs are amazing investments.

The homeowner would like to acknowledge Martinez Painting Company, Monarch Plumbing, Thompson and Hodge Electric Co, California Plumbing and Radiant Heating, Big Waves Concrete, and SMI Pavers and Demolition.

Previous
Previous

How to stay organized during your new construction or remodel

Next
Next

Big changes in policy benefit CA homeowners